Irma a powerful Category 5 Hurricane moving toward Caribbean
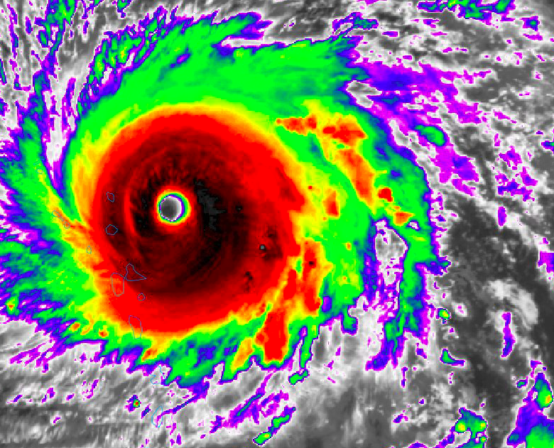
Hurricane Irma maintained immense strength and power per this evenings 8:00pm National Hurricane Center Advisory, with maximum sustained winds of 185mph. The Hurricane is in the upper echelon of Atlantic-based storms, packing the second highest sustained winds on record since the satellite era of hurricane observations began. Irma will continue on a west/northwest heading this evening, on course for potentially catastrophic impacts in parts of the Caribbean.
The system will pass near or over the island of Barbuda tonight, which resides about 50 miles to the north of St. John. This will be the first land interaction that Irma has had since it emerged off the coast of Africa as an agitated complex of thunderstorms many days ago. The systems impact on such a small island appears to be immeasurable — catastrophic damage appears likely. The storm is expected to continue its track west/northwestward through Wednesday, approaching the island of Puerto Rico by Wednesday afternoon.

Hurricane Irma, a powerful Category 5 with 185mph winds, as of 9:55pm Eastern on September 5th 2017.
The northern side of Puerto Rico appears particularly at risk for impacts as Irma’s eye looks to pass 30 miles or so north of the coast. This could place the powerful eyewall very near to the north and especially Northeast coast of the island on Wednesday and Wednesday evening. Any wobbles of the storms center to the north of south would have particularly significant impacts with damage ranging from significant to catastrophic depending on any last-minute adjustments.
Interests in the mentioned regions should be rushing hurricane-preparedness steps to completion as time is running out to safely do so. The storm system will impact and pass these regions by Thursday morning as it begins to make a maneuver west/west-northwest towards the deeper Caribbean including the islands of the Dominican Republic and the Bahamas. It is here that Irma approaches a critical point in her legacy.
Forecast models diverge in regards to the track of the system at this time, as impacts of the steering currents from a mid level ridge to the northeast and upper trough to the northwest are felt. All models agree that the system will make a sharp turn to the north and possibly even the northeast — but the uncertainty lies in exactly when this will occur. The ECMWF and EPS data take the system very far west, towards and over Cuba and then into portions of South Florida. The GFS and GEFS guidance are further east, with a quicker northward turn and significant impacts for Floridas south coast and eventually the Georgia and South Carolina shores.
The uncertainty stems, as mentioned, from two main features. First, a large mid level ridge one the Atlantic Ocean is guiding the system to the west as we speak. This ridge is stout and has impressive breadth — it is the main steering mechanism on Irma right now. The ridge is blocking any northward movement while remaining far away enough to provide ample ventilation and very weak shear on the storm system (promoting intensification).
Meanwhile, forecast models suggest a mid level trough will build into the Mississippi Valley later this week. As the ridge over the Atlantic loses its grip, a tug-of-war will develop between the troughing over the Mississippi River Valley and the remnant Atlantic ridging. Exactly when the troughing begins to have a larger impact and steer Irma to the north will be the critical point of the forecast. Eliminating the western and eastern outliers currently suggests the forecast envelope is quite threatening for South and Eastern Florida.
Forecasters will continue to monitor Irma including changes in strength and wobbles in track over the coming 24 to 48 hours. More importantly, additional data will provide insight into the implications of mid and upper level features and lend confidence to forecasts over the coming days in regards to the discussed northward turn of the system late this week and this weekend.
Interests in Florida and the Bahamas should begin escalating their hurricane plans. Know your evacuation routes, stock up on essentials, and be sure to have plans in place for all types of hazards: Wind, rain, storm surge and tornadoes. Know your homes structure and position yourself accordingly to protect your life and property. Stay tuned over the next 12 to 24 hours for further detailed information!


Trackbacks & Pingbacks
3eliminated
Comments are closed.