Hurricane Maria’s Track May Depend on Jose
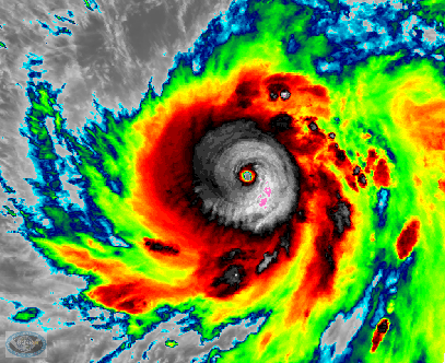
In what seems to be about day seven hundred in an endless cycle of Tropical news, we have plenty more to talk about. Hurricane Maria underwent rapid intensification last night, strengthening from a Category 1 to a Category 3 storm. It developed a very tight core with a rapid increase of lightning around the center — a classic foreboding of rapid intensification. This intensification has continued throughout the day, as it has now become a Category 4 hurricane with 130mph winds. This was evident because a classic pinhole eye opened up, reminiscent of some of the strongest hurricanes, such as Hurricane Gilbert. It is looking like Puerto Rico will take a direct hit from Maria, as perhaps a Category 4 or even 5 hurricane. Afterward, there is a lot of spread in potential outcomes, though the general pattern at large does signal a landfall somewhere along the East Coast. But a big variable will be how the remnants of Jose behave, something that will be very hard to forecast.
The reason why the pattern for Maria as a whole somewhat favors an East Coast landfall is because ridging north of the system will initially force it somewhat westward towards the US. There will also be an additional large ridge developing in the Eastern US that may lead to one giant ridge in the Eastern US and the Western Atlantic, giving Maria essentially no escape from hitting land.

Today’s 12z GFS model valid for Friday evening shows a couple of large ridges initially forcing Maria towards the US, but a large weakness in this ridging via the remnants of Hurricane Jose (Tropical Tidbits).
But the remnants of Jose may still initially remain a strong circulation, and be perfectly positioned within those two ridges to provide a weakness. This is because the counterclockwise flow around Jose’s remnants on its west side will combine with clockwise flow on the east side of the Eastern US ridge to enhance flow from the north to the south along the Eastern US. The counterclockwise flow on Jose’s south side will also combine with clockwise flow on the north side of the Atlantic ridge to enhance flow from west to east. This enhanced flow in a north to south direction and then a west to east direction may ultimately leave enough of a “wrench” in the blocking ridges for Jose to resist a northwest turn directly towards the US.
Additionally, there is a weak upper-level low in the Gulf of Mexico, sitting beneath the large Eastern US ridge. This also inherently forces Maria to turn slightly north of west initially, so that Maria may actually feel the weakness from Jose. Had this upper-level low not been there, Maria may have been able to stay south enough to not feel Jose’s weakness at all, and perhaps plow right into Florida.
However, considering the pattern at large still has multiple large ridges sitting to Maria’s north, which are features that are better forecast in the means than something smaller in scale like a weakness from Jose, the threat to the US still remains for Maria. If we take a look again at the above image, notice the features and their steering currents all somewhat cancel each other out. This means that Maria’s forward motion may slow down as she approaches the Bahamas. This gives more time for either, or both of the below to happen:
- Jose’s remnants weaken and disintegrate, which eliminates the weakness, forcing Maria to eventually plow into the US.
- The trough in the Western US (that is causing the large ridge in the Eastern US) will shift far enough east to scoot Maria out to sea.
But it is more likely that scenario 1 would happen before scenario 2, such that if Jose is less of a factor, the chances for Maria to hit the US increase greatly, as the trough would not arrive in time to scoot Maria out to sea.

An animation of today’s 12z GFS model shows Jose disintegrating, making the large ridging the primary steering factor. This allows Maria to track towards the US (Tropical Tidbits).
This is illustrated well by today’s 12z GFS, as it shows that when Jose weakens, the ridging becomes the primary steering factor, which allows Maria to track northwest towards the US, despite its forward speed slowing with time. And by the time Maria is close to the US, the trough is still well back to the west, though it is making some progress east, as evidenced by a lot of the downstream ridging moving east.
But even on this run of the GFS, the trough makes a last-minute run to catch up with Maria, as her forward speed slowing down means that the trough would have to catch Maria at some point.

Today’s 12z GFS run shows that while Maria makes it to the Outer Banks of North Carolina, it quickly gets scooted out to sea by an approaching large trough (Tropical Tidbits).
Notice how the trough quickly approaching Maria greatly weakens the ridging to the north, and eventually forces her out to sea. Of course, this is after a Major Hurricane hits the Outer Banks, so it’s not like the trough “saved the day” per se, but it does show that the trough could be a factor in Maria escaping out to sea should she slow down enough. And even in the previous animation, while Jose did certainly weaken significantly, its circulation still lasted long enough to generate enough of a weakness to where it had to bend more northward rather than westward — buying Maria more time over open water to where the trough had time to catch up with it. Thus, regardless, Jose will play a major role in Maria’s track.
Today’s European Model actually showed Jose remaining strong for a much longer period of time. Not only did this create a large weakness in the ridging and force Maria away from the US, it also allowed a fascinating phenomenon called a Fujiwara to occur, where Jose and Maria actually began to rotate around each other. This allowed Jose to regenerate a bit and sent Maria further out to sea, as if Maria were to actually rotate around Jose — a storm relatively far out in the ocean — that would certainly end its chances of hitting the US.

Today’s 12z European Model shows a Fujiwara between Jose and Maria, which sends Maria further out to sea (WSI Model Lab).
Suffice to say, while the pattern at large favors Maria to hit the East Coast, there are a lot of variables at play regarding the strength of Jose, its location, Maria’s forward speed, and an eventual oncoming trough that could still send Maria out to sea. Thus, it is way too early to make any definitive conclusions, but the idea of yet another Major Hurricane approaching the US has merit.


Trackbacks & Pingbacks
1diocese
Comments are closed.