Hurricane Michael a Category 4, still strengthening this morning
Update 8:15am: The National Hurricane Center says that Michael has strengthened again this morning, with maximum sustained winds now 145mph.
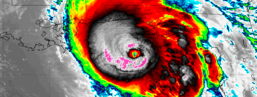
Hurricane Michael strengthened again overnight, and is now approaching the Florida Gulf Coast as a life-threatening Category Four hurricane with maximum sustained winds of 145mph. The National Hurricane Center is now suggesting that the storm will make landfall as a Category Four hurricane with 145 mph sustained winds. No hurricane has ever hit the Florida Panhandle at such a strength. Records date back to 1851.
The strengthening of the storm overnight was feared by many forecasters and meteorologists as early as Tuesday afternoon, when the storm system began to appear more symmetric and approach warmer waters and lower shear. These conditions tend to promote increased organization and strength of tropical systems. The storm was still strengthening as of this morning, with a minimum central pressure down to 937hPa.




